About this project

In collaboration with the Red Cliffs & District Historical Society and Red Cliffs Focus Group, Council proposes to name multiple laneways and one street in Red Cliffs.

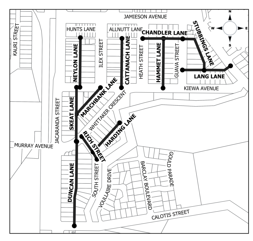
The proposed names are:

  • Neylon Lane
  • Cattanach Lane
  • Hammet Lane
  • Chandler Lane
  • Stubbings Lane
  • Lang Lane
  • Duncan Lane
  • Harding Lane
  • Skeat Lane
  • Marchbank Lane
  • Rich Street

You can provide your feedback by completing the survey below until Friday 10 April.

Naming any place (in accordance with the Naming Rules for Places in Victoria) ensures it can be clearly identified and its exact location determined. Unique and accurate place names reduce the risk of delays for emergency services caused by unclear or confusing location details.

The naming process gives the community an opportunity to recognise the area’s local history, culture and identity.

Council is seeking consent from family or descendants linked to the proposed names. If you can help with contact details, please tell us in the survey below.

Historical information and images supplied by the Red Cliffs & District Historical Society and Red Cliffs Focus Group

Map of project area showing proposed laneways and street names

Map of proposed laneways

Survey

Privacy Policy

For details on how Mildura Rural City Council collects and protects your personal information, refer to our Privacy Policy.